微信公众平台
  • 微信扫码关注

 
 
小程序
  • 微信扫一扫

 
登录/ 注册
您的位置:滕州房产网 > 资讯 > 楼盘动态

楼面价4236.72元/㎡!滕州挂牌出让一宗居住用地

2025-10-10 | 滕州信息港

  经滕州市人民政府批准,滕州市自然资源局决定在枣庄市公共资源交易网以网上挂牌的方式公开出让国有建设用地使用权。详情如下:

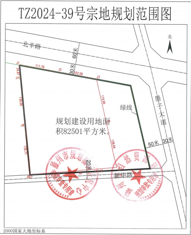
  TZ2024-39-1号宗地,位于新华路北侧、墨子大道西侧、北辛路南侧,土地面积21465平方米,土地用途及年期为居住70年。

       规划指标要求:1.0<地上容积率≤1.7,建筑密度≤28%,绿地率≥35%。起始价15460万元,按照最高容积率1.7计算,折合楼面价约4236.72元/平方米。


最新楼盘

| 更多楼盘
  • 春悦锦园

    春悦锦园

    待更新

  • 国资·公园里

    国资·公园里

    待更新

  • 城建·梁庭春晓

    城建·梁庭春晓

    待更新

  • 亿恒·和畅园

    亿恒·和畅园

    待更新

热门推荐楼盘
发布
小程序
  • 微信扫一扫

    使用小程序

顶部