微信公众平台
  • 微信扫码关注

 
 
小程序
  • 微信扫一扫

 
登录/ 注册
您的位置:滕州房产网 > 资讯 > 公示公告

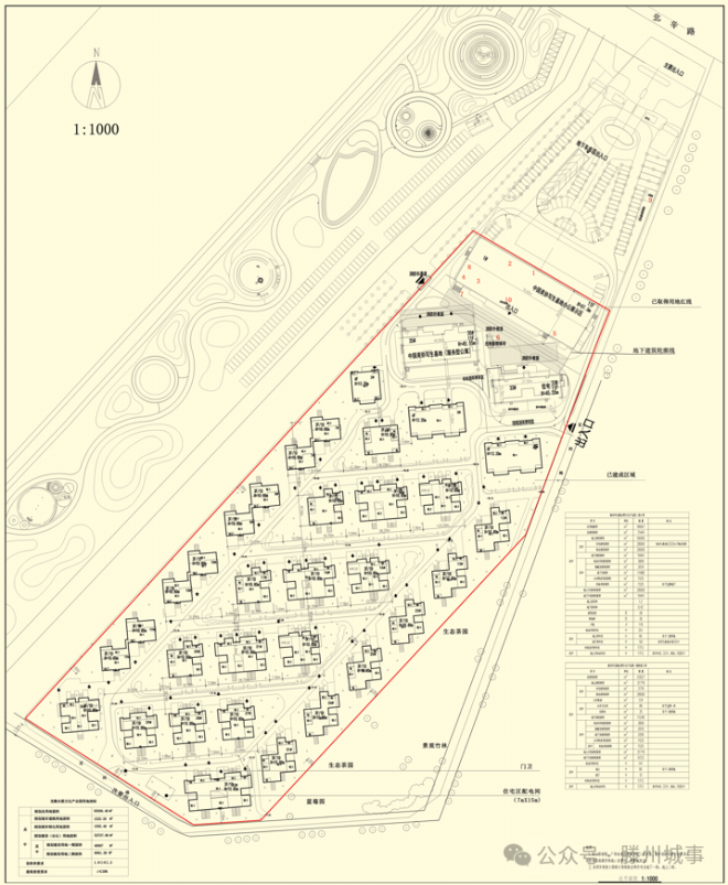
龙腾水郡文化产业园一期续建工程建设工程设计方案公示,将建成滕州洲际假日酒店

2025-11-28 | 滕州城事 | 楼盘直通车:龙腾水郡

滕州市龙腾水郡文化产业园一期续建工程建设工程

设计方案公示、建设工程规划许可批前公告

  滕州洲际假日酒店项目8000平方米的占地范围,2.2万平方米地上建筑与6067平方米地下空间构成的十一层主体,宛如一艘蓄势待发的“品质方舟”。1-2层为酒店餐饮,宴会厅,3层为20个餐饮包间,可同时满足1500人会议,就餐,无论是政企峰会的庄重,还是婚宴庆典的热烈,都能在此找到完美承载;4-11层的176间多元房型客房,以满足200人住宿容量的底气,让每一位来客都能安享静谧。


最新楼盘

| 更多楼盘
  • 玫瑰园二期

    玫瑰园二期

    待更新

  • 春悦锦园

    春悦锦园

    待更新

  • 国资·公园里

    国资·公园里

    待更新

  • 城建·梁庭春晓

    城建·梁庭春晓

    待更新

热门推荐楼盘
发布
小程序
  • 微信扫一扫

    使用小程序

顶部